Greene County Online Only Tax Foreclosure Auction: October 29, 2025 at 10AM
Location: Online Only NYSauctions.com. Bidding will open Monday, October 27th 10AM
Bidders Seminar: Watch NOW

Quick Links:
Brochure
Removals

Lead Based Paint Booklet
Towns Contact Information
Fair Housing Notice
Property Showings - Online only, view photos
View Internet Bidding Packet- Please note: For bidding Approval, we will email you a Google form to complete. Then, Link to e-signature Internet Bidding Packet will be sent via email. Your online account Approval will update to Yes; when the auction opens for bidding on Monday, October 27.  

Auction Info

Greene County Online Only Tax Foreclosure Auction: October 29, 2025 at 10AM
Location: Online Only NYSauctions.com. Bidding will open Monday, October 27th 10AM
Bidders Seminar: Watch NOW

Quick Links:
Brochure
Removals

Lead Based Paint Booklet
Towns Contact Information
Fair Housing Notice
Property Showings - Online only, view photos
View Internet Bidding Packet- Please note: For bidding Approval, we will email you a Google form to complete. Then, Link to e-signature Internet Bidding Packet will be sent via email. Your online account Approval will update to Yes; when the auction opens for bidding on Monday, October 27.  


Categories:
Rural vacant land.
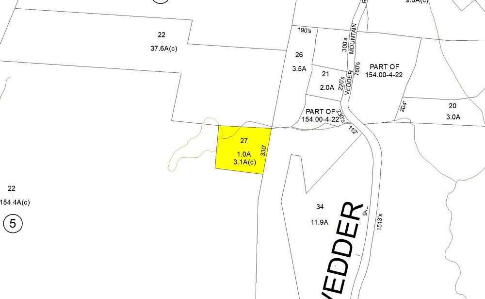
Tax Map #: 154.00-4-27
Lot Size: 1.00 +/- Acre X
School District: Catskill CSD
Full Market Value: $500
Inspection: May not have road frontage.
School Tax Due: $18.57
Village Tax Due: $
County Tax Due: $
Down Payment Calculator
 

Former Deed
Real Property Tax Service printout

Track this Item

More Details
Rural vacant land.
Tax Map #: 154.00-4-27
Lot Size: 1.00 +/- Acre X
School District: Catskill CSD
Full Market Value: $500
Inspection: May not have road frontage.
School Tax Due: $18.57
Village Tax Due: $
County Tax Due: $
Down Payment Calculator
 

Former Deed
Real Property Tax Service printout

Track this Item

High Bid:
$6,500.00 – lifteddmax

bidding history

Auction Type: One Lot
Quantity: 1

Bidding has closed on this lot