Franklin County Tax Foreclosure Live Auction with Online Bidding: October 1, 2025 at 10AM, Registration opens at 8AM. Online bidders approved September 29, 2025 @ 10AM
Location: Mo's Pub & Grill, 3357 US-11, Malone, NY or Online at NYSAuctions.com
Live Bidders Seminar September 29 from 6-8PM: Franklin County Court House Kitchen Conference Room, 355 West Main St, Malone, NY OR Watch NOW

Quick Links:
Brochure
Removals
Delinquent Balance Due
Lead Based Paint Booklet
Fair Housing Notice
Towns and Villages
Property Showings:
Tuesday, September 30. Schedule posted NOW!
Internet Bidding Packet
Looking to bid in person but skip the registration line? Register for auction, complete the IBP sent via email from DocuSign and indicate on Page 2 that you are bidding in person. Or you can register and bid online only. Please note: Link to e-signature Internet Bidding Packet will be sent via email 9/19 after you register for the auction. You must register for the auction to receive the email. Please note your account will say "NOT APPROVED" until we "Approve" you to bid when the auction opens Monday, 9/29 @ 10AM. Absentee bids. All bids are placed at max bid. This means whatever bid submitted will be entered as the current high bid.

Auction Info

Franklin County Tax Foreclosure Live Auction with Online Bidding: October 1, 2025 at 10AM, Registration opens at 8AM. Online bidders approved September 29, 2025 @ 10AM
Location: Mo's Pub & Grill, 3357 US-11, Malone, NY or Online at NYSAuctions.com
Live Bidders Seminar September 29 from 6-8PM: Franklin County Court House Kitchen Conference Room, 355 West Main St, Malone, NY OR Watch NOW

Quick Links:
Brochure
Removals
Delinquent Balance Due
Lead Based Paint Booklet
Fair Housing Notice
Towns and Villages
Property Showings:
Tuesday, September 30. Schedule posted NOW!
Internet Bidding Packet
Looking to bid in person but skip the registration line? Register for auction, complete the IBP sent via email from DocuSign and indicate on Page 2 that you are bidding in person. Or you can register and bid online only. Please note: Link to e-signature Internet Bidding Packet will be sent via email 9/19 after you register for the auction. You must register for the auction to receive the email. Please note your account will say "NOT APPROVED" until we "Approve" you to bid when the auction opens Monday, 9/29 @ 10AM. Absentee bids. All bids are placed at max bid. This means whatever bid submitted will be entered as the current high bid.


Categories:
Single family residence, 1.7 story, Old style, built 1880+/-, 1576+/- sq. ft., 3BR/1BA. attached garage, porch, barn.
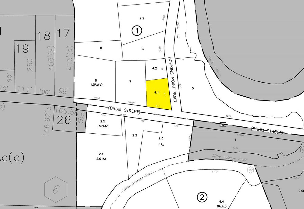
Tax Map #: 5.16-1-4.100
Lot Size: 0.50 +/- Acre X
School District: Salmon River CSD
Full Market Value: $73065
Inspection: Occupied, Drive by anytime.
School Tax Due: $
Village Tax Due: $
County Tax Due: $
Down Payment Calculator
 

Former Deed
Real Property Tax Service printout

Track this Item

More Details
Single family residence, 1.7 story, Old style, built 1880+/-, 1576+/- sq. ft., 3BR/1BA. attached garage, porch, barn.
Tax Map #: 5.16-1-4.100
Lot Size: 0.50 +/- Acre X
School District: Salmon River CSD
Full Market Value: $73065
Inspection: Occupied, Drive by anytime.
School Tax Due: $
Village Tax Due: $
County Tax Due: $
Down Payment Calculator
 

Former Deed
Real Property Tax Service printout

Track this Item

High Bid:
$10,000.00 – buyerbeyond35

bidding history

Auction Type: One Lot
Quantity: 1